Bathroom Cabinets Refacing Quotes

Basement Sealing Moisture Control Waterproofing Foundation Repair Indianapolis Home Protection
Basement Sealing Service

Professional basement sealing services in Indianapolis, IN focus on preventing moisture intrusion, water damage, and mold growth. Our team offers practical solutions with clear communication and quality craftsmanship to protect your home and enhance its value. We also provide waterproofing, foundation repair, and moisture control services, ensuring comprehensive basement protection tailored to local needs.

Read more
Flooring Hardwood Floors White Oak Floor Installation Indianapolis Home Improvement
White Oak Floor Installation

Expert White Oak Floor Installation services in Indianapolis, Indiana help enhance your space with durable, attractive flooring. Our team focuses on quality workmanship, clear communication, and practical results, ensuring a smooth process from start to finish. We also offer related services like refinishing, repair, and design consultation to meet your flooring needs.

Read more
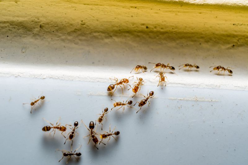
Ant Extermination Pest Control Indianapolis Pest Services Ant Infestation Local Pest Control
Ants Extermination Service

Ants extermination services in Indianapolis, IN, help homeowners and property managers eliminate ant infestations effectively. The process emphasizes clear communication, tailored solutions, and minimal disruption, ensuring a pest-free environment. Our local team offers comprehensive pest control options to address ants and related pests, providing practical, reliable results that restore comfort and safety.

Read more
Ant Control Pest Management Indianapolis Pest Control Services Extermination Local Pest Experts
Ant Control Service

Our ant control services in Indianapolis, Indiana, focus on effective, tailored solutions to eliminate ant infestations. With clear communication and professional treatment, we help residents and businesses maintain pest-free environments. Trust local experts to deliver practical results and ensure your space remains comfortable and safe from ants.

Read more
Humidifier Repair Indianapolis Moisture Control Hvac Services Indoor Comfort
Humidifer Repair

Expert humidifier repair services in Indianapolis, IN, focus on restoring proper function and ensuring efficient operation. Our team provides thorough assessments, clear communication, and practical solutions to maintain indoor comfort and health. Serving residential and commercial clients, we prioritize professionalism and reliable results for all moisture control needs.

Read more
Crawlspace Waterproofing Foundation Repair Moisture Control Drainage Solutions Indianapolis Home Protection
Crawlspace Waterproofing

Offering crawlspace waterproofing and related foundation services in Indianapolis, IN, our team focuses on practical, effective solutions to keep your home dry and stable. We prioritize clear communication, quality workmanship, and tailored approaches to meet each homeowner's needs, ensuring long-lasting results and peace of mind throughout the process.

Read more
Pest Control Vermin Extermination Indianapolis Rodent Control Insect Removal
Vermin Extermination

Professional vermin extermination services in Indianapolis, Indiana, help address pest infestations and prevent future issues. Local experts provide thorough, clear, and practical pest control solutions tailored to the area's needs, ensuring a safe and pest-free environment for homes and businesses.

Read more
Fly Infestation Pest Control Indianapolis Extermination Services Residential Pest Control
Fly Infestation Extermination

Reliable fly infestation extermination services in Indianapolis, IN, focus on effectively eliminating flies from homes and businesses. Our tailored approach ensures a cleaner, healthier environment by addressing the root causes of fly problems with clear communication and practical solutions. Trust our local expertise to restore comfort and prevent future infestations efficiently.

Read more
Flea Control Pest Control Fumigation Indianapolis Home Pest Management
Flea Fumigation

Reliable flea fumigation services in Indianapolis, Indiana, help eliminate flea infestations from residential and commercial properties. Our team provides clear communication and effective treatments to restore a pest-free environment, ensuring peace of mind for homeowners and business owners alike. We focus on quality, safety, and practical results to address flea problems thoroughly and efficiently.

Read more
Rats Extermination Pest Control Rodent Removal Indianapolis Pest Services Home Safety
Rats Extermination

Our rats extermination services in Indianapolis, IN, provide effective solutions for homeowners and property managers facing rodent infestations. We focus on clear communication, thorough removal, and practical results to ensure your home remains rodent-free. Trust our local expertise for a safe and reliable pest control experience tailored to your needs.

Read more